Κυκλώνας “Μίλτον”:Φυσικό φαινόμενο ή μυστικό πρόγραμμα της κυβέρνησης; – Κολυδάς: “Αμορφωσιά ή ψέκα”
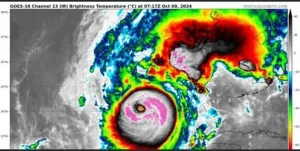
FacebookShare on XBlueskyEmailCopy LinkΤις θεωρίες συνομωσίας που κυκλοφορούν στις Ηνωμένες Πολιτείες για τον κυκλώνα «Μίλτον» που θα πλήξει σε λίγες ώρες την Φλόριντα σχολιάζει σε ανάρτησή του ο Θόδωρος Κολυδάς. «Στα social media και ειδικότερα στο Twitter, διακινείται η άποψη ότι ο Milton όπως και προηγουμένως η Helen είναι αποτέλεσμα μυστικού προγράμματος της κυβέρνησης τροποποίησης … Συνεχίστε να διαβάζετε το Κυκλώνας “Μίλτον”:Φυσικό φαινόμενο ή μυστικό πρόγραμμα της κυβέρνησης; – Κολυδάς: “Αμορφωσιά ή ψέκα”.
Αντιγράψτε και επικολλήστε αυτόν τον σύνδεσμο στον WordPress ιστότοπο για ενσωμάτωση
Αντιγράψτε και επικολλήστε αυτόν τον κώδικα στον ιστότοπό σας για να ενσωματωθεί